Description
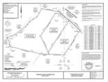
Come see this beautiful 10.44 acres of private wooded mountain top land! This property is zoned agricultural but could potentially be split into two 5 acre parcels zoned small farm agricultural. This property has been recently cleared and my is it beautiful! It has 3-5 clearly useable building spots currently graded with views of the neighboring mountain tops! This property is in Pickens county and close to the Cherokee border - only 8 minutes off of Hwy 575. A perc test has been completed on the nearby tracts A & B and the soils there were found to be suitable in multiple areas. This property is accessed via a private gravel road shared by easement with the other owners on the same road. Electricity runs along the road front of the property. Well and septic will need to be installed. Suitable house sites can be found all along the ridgetop as well as near the creek and nearer the road. Once cleared, there will be some gorgeous mountain top views from the top of the ridge! A beautiful creek runs along the back of the property. This would be a fantastic large private homestead or may be great for splitting into two smaller homesteads. Owner is a licensed real estate agent. Buyer is aware that seller is to perform an IRC 1031 tax deferred exchange. Seller requests buyer's cooperation in such an exchange, and agrees to hold buyer harmless from any and all claims, liabilities, costs, or delays in time resulting from such an exchange. Buyer agrees to an assignment of this contract by the seller.
-
0BEDS
-
10.44ACRES
-
0BATHS
-
01/2 BATHS
School Information
Description
Come see this beautiful 10.44 acres of private wooded mountain top land! This property is zoned agricultural but could potentially be split into two 5 acre parcels zoned small farm agricultural. This property has been recently cleared and my is it beautiful! It has 3-5 clearly useable building spots currently graded with views of the neighboring mountain tops! This property is in Pickens county and close to the Cherokee border - only 8 minutes off of Hwy 575. A perc test has been completed on the nearby tracts A & B and the soils there were found to be suitable in multiple areas. This property is accessed via a private gravel road shared by easement with the other owners on the same road. Electricity runs along the road front of the property. Well and septic will need to be installed. Suitable house sites can be found all along the ridgetop as well as near the creek and nearer the road. Once cleared, there will be some gorgeous mountain top views from the top of the ridge! A beautiful creek runs along the back of the property. This would be a fantastic large private homestead or may be great for splitting into two smaller homesteads. Owner is a licensed real estate agent. Buyer is aware that seller is to perform an IRC 1031 tax deferred exchange. Seller requests buyer's cooperation in such an exchange, and agrees to hold buyer harmless from any and all claims, liabilities, costs, or delays in time resulting from such an exchange. Buyer agrees to an assignment of this contract by the seller.
Related Properties
Listings identified with the FMLS IDX logo come from FMLS, are held by brokerage firms other than the owner of this website and the listing brokerage is identified in any listing details. Information is deemed reliable but is not guaranteed.
If you believe any FMLS listing contains material that infringes your copyrighted work, please click here to review our DMCA policy and learn how to submit a takedown request.
© 2026 First Multiple Listing Service, Inc. Data last updated 2026-01-22T00:03:24.073. For issues regarding this website, please contact BoomTown.
